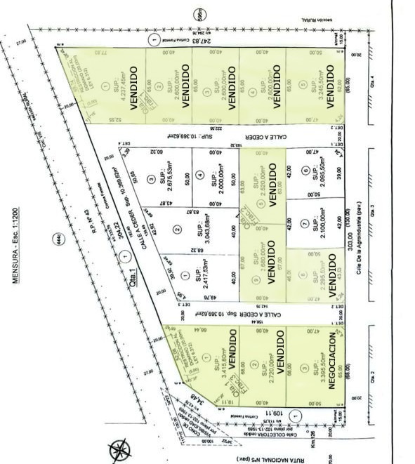
Excelente oportunidad para desarrollar tu empresa o invertir en una ubicación estratégica, a metros de la Ruta Nacional N° 5, en la ciudad de Suipacha (Buenos Aires).
📐 Superficies desde 2.000 m² hasta más de 3.000 m²
(9 lotes disponibles – posibilidad de sumar uno más sobre la Ruta)
🔌 Servicios e infraestructura:
🏗️ Beneficios para empresas:
💰 Posibilidad de financiación hasta 2 años
(Consultar tasa y condiciones)
📞 Consultanos para más información o coordiná una visita.
Comparar los listados de
Comparar